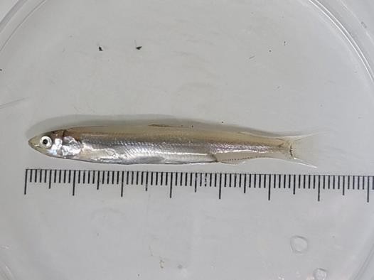
|  | | | ↑↑ 은어 치어(부화 80일 후) | | ⓒ (주)영남도민일보 | | [영남도민일보] 영남도민일보 기자 = 부산시 수산자원연구소(이하 연구소)는 오늘(13일)부터 14일까지 양일간 사하구, 강서구 및 기장군 인근 수역에 어린 은어 총 15만 마리를 방류한다고 밝혔다.
이번 방류는 고급횟감의 일종인 은어의 자원증강 및 낙동강 하구 수산생물의 다양성 회복을 위해 추진된다.
이번에 방류하는 은어는 연구소에서 지난해 11월 초 수정란을 부화시켜 약 100일 정도 키운 치어로, 크기 6센티미터(cm) 이상의 활력 넘치는 종자다.
은어는 바다빙어과에 속하는 민물고기로 물이 맑은 하천에 서식하며 9~10월쯤 강 하류에서 알을 낳는다.
여기서 부화한 어린 은어는 하천의 흐름을 따라 바다로 내려가 겨울을 보내다가, 봄이 돼 전장 약 7cm 정도가 되면 하천으로 올라와 일생을 보내는 1년생 어류다.
특히, 은어는 맛이 담백하고 비린내가 나지 않으며, 오이 향 또는 수박 향이 난다고 해서 영어로 'sweet fish'라고 하며, 여름철 구이․튀김․생선회로 많이 먹는 민물 고급 어종에 속한다.
강현주 시 수산자원연구소장은 “이번에 방류하는 은어는 부산의 수산자원 회복뿐만 아니라 하천·하구 기수 생태 복원에도 이바지할 것”이라며, “앞으로도 어업인들이 선호하는 고부가가치 품종연구와 방류에 지속적으로 노력해 나갈 것”이라고 전했다.
|